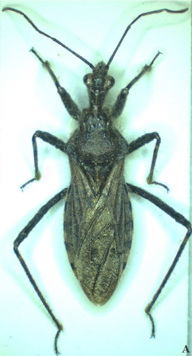
Coranus pericarti à Conques-sur-Orbiel
Les Carnets natures, 2023, vol. 10 : 1-3 publient un article de Corentin Larquier :
Première observation de Coranus kerzhneri (Putshkov, 1982)
(Heteroptera, Reduviidae) en Haute- Garonne (France) et
deuxième de Coranus pericarti (Putshkov, 1994) dans l’Aude
(France).
Cet article est téléchargeable sur le site des Carnets
et dont voici le résumé :
Les observations de deux espèces peu courantes du genre Coranus (Heteroptera, Reduviidae) sont présentées.
Coranus kerzhneri (Putshkov, 1982) est mentionné pour la première fois en Haute-Garonne et Coranus pericarti
(Putshkov, 1994) pour la deuxième fois dans l’Aude. Le milieu de capture est précisé et les spécimens récoltés
sont présentés avec une vue latérale de leur scutellum, permettant l’identification.
Le Coranus pericarti a été observé sur la commune de Conques-sur-Orbiel.
L'Herbiel de Gabriel


